Saturday Larry packed maximum sustained winds of 125 mph. Hurricane Larry in the Caribbean has reached Category 3 strength with maximum sustained winds of approximately 185 kmh 115 mph the US National Hurricane Center and Central Pacific Hurricane Center warned on Friday.
The storm is moving north away from the United States but could pose a threat to Bermuda next week.

Hurricane larry category. Direct impact in British Islands. Track Hurricane Category 1 Larry 2021. About 6 hours after its designation at around 1200 UTC it was upgraded.
As of 5 pm. Larry the fifth hurricane of the season formed early Thursday and is expected strengthen into a major hurricane with winds of at least 111 mph by late Friday the hurricane center said. The agencys latest advisory on the system indicates that Larry is about 3041 km 1890 miles west of Cabo Verde and 1980 km 1230 miles east of the.
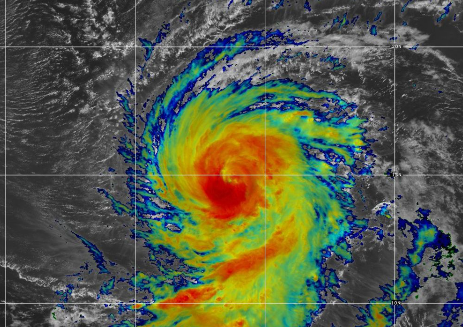
Major hurricane or Category 3 status starts at 111 mph winds. Hurricane Larry intensifies to major Category 3 storm MIAMI Hurricane Larry strengthened to a Category 3 storm overnight and it is forecast to remain a major hurricane for several days in the. Hurricane Larry as a Category 3 hurricane near its Puerto Rico landfall on September 1st.
Hurricane Larry strengthened to a Category 3 storm overnight and is likely to remain a major hurricane for several days according to the National Hurricane. Hurricane Larry intensifies to major Category 3 storm 1 min read 9 hours ago Miami Rich Larry is forecast to remain a major hurricane for several days in the Atlantic according to the National Hurricane Center. The first Hurricane Larry is poised to strengthen into a category 4 storm in the open waters of the Atlantic Saturday evening or Sunday.
Hurricane Larry became a Category 3 storm overnight and continues to gain strength as it moves west-northwest in the Atlantic. The storm was 1140 miles east of the Leeward Islands moving west-northwest at 16 mph. Hurricane Larry possible Category 5 stormtrack.
The 12th named storm of. Tropical Storm Larry has strengthened into the fifth hurricane of the 2021 Atlantic season and is forecast to turn into a Category 3 storm i n the next 48 hours and a Cat 4 by Sunday. But now Hurricane Larry is now churning in the central Atlantic.
The latest on Idas aftermath On Friday night Larry intensified to a Category 3 hurricane. Sept 3 Reuters - Larry intensified into a Category 2 Hurricane on Friday the National Hurricane Center NHC said adding that additional strengthening is forecast during. Hurricane Larry a Category 3 storm with winds at 125 miles per hour could grow into a Category 4 storm with winds at 140 mph as soon as Saturday night according to forecasters.
Hurricane Larry was a Category 3 storm as of Saturday morning. Hurricane Larry strengthened to a Category Three storm and is forecast to remain a major hurricane over the coming days in the Atlantic Local 10 reported Saturday. Hurricane Larry is predicted to reach Category 4 strength over the open waters of the central Atlantic Ocean this holiday weekend forecasters.
Eastern time Larry which became the fifth hurricane of the 2021 season Thursday morning was. Soon after its designation as a tropical cyclone Larry began to undergo a period of extremely and unusually rapid intensification as warm waters of 90 degrees Fahrenheit and virtually no wind shear fueled the storms intensity. Hurricane Larry far out in the Atlantic Ocean strengthened to Category 3 on Friday night as the busy 2021 Atlantic hurricane season continued.




:strip_exif(true):strip_icc(true):no_upscale(true):quality(65)/cloudfront-us-east-1.images.arcpublishing.com/gmg/MKGT2VYC4JA4FG5X3XRDAXPDZU.jpg)


/cloudfront-us-east-1.images.arcpublishing.com/gray/XSFLSEEJMZERBHBI2XOVDG6SLQ.jpg)


/cloudfront-us-east-1.images.arcpublishing.com/gray/BV277MGWJBCMVMANSIIWUK2NC4.png)




